Tutorial Home | Site Map | Glossary | GEOSS URR | GEO

Tutorial Home Publish General User Types Applications Requirements Research Needs Infrastructure Needs Technology Needs Capacity Needs Links References Lexicon Terms Searches
Searches:   Introduction   Keywords   Composite strings   Next

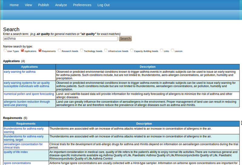
Currently, the URR offers one method of discovering and retrieving data. The Search form allows the specification of a search string in the input field.

In the example, we have entered the search string 'asthma'. We can now specify in which parts of the URR we would like to search for entries having the search string 'asthma' either in the name or description.

We narrow down the search to only include applications and requirements.

This results in the list of all entries in Applications and Requirements having 'asthma' in name or description or being associated with the keyword 'asthma'.

  Back up ...