Tutorial Home | Site Map | Glossary | GEOSS URR | GEO

Tutorial Home Publish General User Types Applications Requirements Research Needs Infrastructure Needs Technology Needs Capacity Needs Links References Lexicon Terms Searches
Applications:   Introduction   Edit   New Entry   SBAs   Keywords   References   Comments   Previous Next

Editing an Existing Application Entry

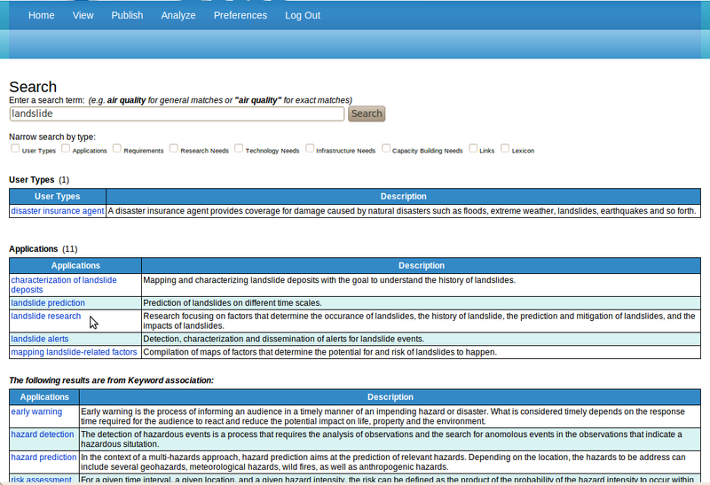
There are several ways of loading an existing application entry into the form for further edits. You can access an entry through the list that comes up after clicking on 'Edit/View all'. You can also type the name of the application into a blank form and then click on Save. Save will check for an existing entry with this name, and it will load this entry if it already exists. In the example, we typed in 'landslide research', which after a click on the 'Save' button, resulted in the form as shown.

The same result could have been reached by first bringing up the list of all applications and then clicking on 'landslide research'. Another way of populating a form with an entry is to perform a search with appropriate text string and then selecting the desired entry.

Another way of populating a form with an existing entry is to perform a search with appropriate text string and then selecting the desired entry. In the example, we conducted a search for 'landslide', which brought up the list as shown. We can now click on the entry name to load the entry for 'landslide research' into the form for further edits.

Next step ...   Back up ...